 
              প্রকাশিত: মে ১২, ২০২৩, ০৮:৪৪ পিএম
-20230512084442.jpg) 
                 
                            
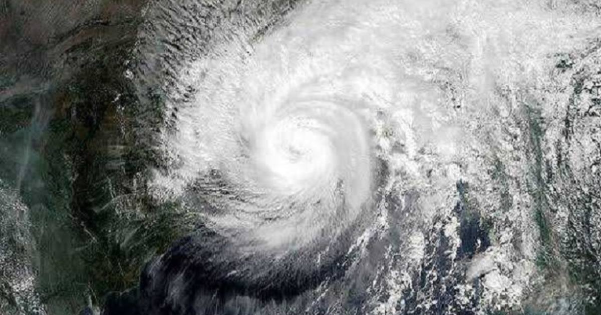
              দক্ষিণ-পূর্ব বঙ্গোপসাগর ও তৎসংলগ্ন মধ্য বঙ্গোপসাগর এলাকায় অবস্থানরত প্রবল ঘূর্ণিঝড় ‘মোখা’ উত্তর দিকে অগ্রসর ও ঘণীভূত হয়ে মধ্য বঙ্গোপসাগর ও তৎসংলগ্ন দক্ষিণপূর্ব বঙ্গোপসাগর এলাকায় অতি প্রবল ঘূর্ণিঝড়ে পরিণত হয়েছে বলে ভারতীয় কর্মকর্তারা জানিয়েছেন। ক্ষয়ক্ষতি এড়াতে পশ্চিমবঙ্গে এরইমধ্যে ন্যাশনাল ডিজাস্টার রেসপন্স ফোর্সের (এনডিআরএফ) আটটি দল এবং ২০০ জন উদ্ধারকারী মোতায়েন হয়েছে ।
এনডিআরএফ কর্মকর্তা গুরমিন্দর সিং বলেন, ‘ঘূর্ণিঝড় মোখা শুক্রবার (১২ মে) অতি প্রবল ঘূর্ণিঝড়ে পরিণত হয়েছে। আমরা এ অঞ্চলে আটটি দল এবং ২০০ উদ্ধারকারী মোতায়েন করেছি। ১০০ জনের আরেকটি উদ্ধারকারী দল প্রস্তুত আছে।
তিনি বলেন,  জেলে এবং ভ্রমণকারীদের রোববার পর্যন্ত মধ্য ও উত্তর-পূর্ব বঙ্গোপসাগর এবং উত্তর আন্দামান সাগরে না যেতে বলেছে আবহাওয়া অফিস। কর্মকর্তারা বলছেন, জরুরি সেবাগুলো যেকোনো প্রাকৃতিক দুর্যোগ মোকাবিলায় ২৪ ঘণ্টা কাজ করছে।
 
এ ছাড়া উত্তর-পূর্বের কিছু রাজ্য এবং আন্দামান ও নিকোবর দ্বীপপুঞ্জে বৃষ্টির সতর্কতা জারি করেছে আবহাওয়া অফিস।
এদিকে শুক্রবার (১২ মে) সকালে বাংলাদেশের আবহাওয়া দফতরের সবশেষ বুলেটিনে বলা হয়েছে, মোখা ভোর ৬টায় চট্টগ্রাম সমুদ্রবন্দর থেকে ১ হাজার ৯৫ কিলোমিটার দক্ষিণ ও দক্ষিণ-পশ্চিমে, কক্সবাজার সমুদ্রবন্দর থেকে ১ হাজার ২৫ কিলোমিটার দক্ষিণ ও দক্ষিণ-পশ্চিমে, মোংলা সমুদ্রবন্দর থেকে ১ হাজার ৫৫ কিলোমিটার দক্ষিণ ও দক্ষিণ-পশ্চিমে এবং পায়রা সমুদ্রবন্দর থেকে ১ হাজার ২০ কিলোমিটার দক্ষিণ ও দক্ষিণ- পশ্চিমে অবস্থান করছিল। এটি আরও উত্তর ও উত্তর-পূর্ব দিকে অগ্রসর ও ঘনীভূত হতে পারে।
বিজ্ঞপ্তিতে আরও বলা হয়, অতি প্রবল ঘূর্ণিঝড় কেন্দ্রের ৭৪ কিলোমিটারের মধ্যে বাতাসের একটানা সর্বোচ্চ গতিবেগ ঘণ্টায় ১২০ কিলোমিটার, যা দমকা অথবা ঝড়ো হাওয়া আকারে ১৪০ কিলোমিটার পর্যন্ত বৃদ্ধি পাচ্ছে। প্রবল ঘূর্ণিঝড় কেন্দ্রের নিকটবর্তী এলাকায় সাগর খুবই বিক্ষুব্ধ রয়েছে।
                      
এডিএস/
 
       
       
       
       
       
       
       
       
       
       
       
       
       
       
       
       
       
       
       
       
       
       
       
       
       
       
       
       
       
       
       
       
       
       
       
       
       
       
      